Ponadregionalne Centrum Sportowo-Rekreacyjne

Coś budują? Coś wyburzają? Masz jakieś własne pomysły (nawet futurystyczne)? Tutaj jest miejsce dla ciebie
ODPOWIEDZ
Awatar użytkownika

defekator
Rhetor
Posty: 12179
Rejestracja: 13-01-2010, 21:55

Post autor: defekator »

Marcin Zaród pisze:OO, mam, mam, projektant ronda powinien przy jego otwarciu stanąć przy krawędzi. Jak się tir nie wyrobi, bo pan sobie czegoś nie wyliczył, to... poprawi ktoś następny ;) Może wtedy nie byłoby takich kwiatków jak oryginalne rondo na Okrężnej czy w Lisiej Górze...

Czeka nas budowa ronda na skrzyżowaniu Czysta/Mościckiego przed mostem na Białej, więc szansa na sprawdzenie się jest ;)

Jeżeli wpiszesz to do swojego programu to zastanowię się nad głosowaniem na Ciebie. :)
Tylko takie pomysły nie za bardzo idą w parze z "lewicową wrażliwością społeczną" ;)
"Wkrótce Europa przekona się, i to boleśnie, co to są polskie fobie, psychozy oraz historyczne bóle fantomowe" S. LEM


kholbee
Prytan
Posty: 188
Rejestracja: 13-09-2009, 15:28

Post autor: kholbee »

Jakie miasto, taki aquapark, takie ścieżki rowerowe, takie boisko do koszykówki, takie galerie handlowe.... Wszystko co się dzieje w Tarnowie robi się z wielkim hukiem i opowiadaniem jakież to wspaniałe i cudowne, a potem to wszystko okazuje się wielką kichą. W Tarnowie nadal nikt nie potrafi zrozumieć, że za te same pieniądze można zrobić coś dobrze, a nie zepsuć w fazie powstawania i dopiero potem naprawiać.

Awatar użytkownika

BIGer
Proedroj
Posty: 455
Rejestracja: 06-07-2010, 07:40
Lokalizacja: Tarnów

Post autor: BIGer »

kholbee pisze:Jakie miasto, taki aquapark, takie ścieżki rowerowe, takie boisko do koszykówki, takie galerie handlowe...
Jacy mieszkańcy takie miasto.
BIGer
"Wyzwolona energia atomu zmieniła wszystko z wyjątkiem naszego sposobu myślenia."
— Albert Einstein


Dom
Archont
Posty: 802
Rejestracja: 06-10-2010, 13:53

Post autor: Dom »

A wczoraj na basenie zepsute byly bramki do sauny i kazdy mogl wejsc i siedziec ile chce za zupelna darmoche:)

Awatar użytkownika

ad2222
Rhetor
Posty: 7736
Rejestracja: 03-03-2009, 10:51
Lokalizacja: Tarnów, Zabłocie

Post autor: ad2222 »

A dzisiaj już były naprawione, ale za to zamknięta sztuczna fala :)
"Wolę być głupim z nadzieją, niż bez nadziei - niemądrym" Edward 'Dudek' Dziewoński

Awatar użytkownika

opornik
Rhetor
Posty: 9838
Rejestracja: 24-08-2009, 09:38
Lokalizacja: Krzyż

Post autor: opornik »

ad2222 pisze:A dzisiaj już były naprawione
sukces niesamowity :D
ad2222 pisze:ale za to zamknięta sztuczna fala
naprawią nową instalację i będzie kolejny sukces :D :D
ICE In Case of Emergency, w nagłym wypadku

Awatar użytkownika

Goscinny
Rhetor
Posty: 11275
Rejestracja: 03-03-2009, 12:21
Lokalizacja: Tarnów

Post autor: Goscinny »

Odkopuję temat, bo agenci "tarnowleaks" mieli sposobność zerknąć w przelocie na mapę z zarysem budynku "hotelowo-rehabilitacyjno-szpitalnego" czy jakoś tak.
Niestety właściciel mapy nie wypuścił jej z ręki i dlatego wrzucam tylko podglądowo gdzie iten budynek (a raczej kompleks) ma powstać i jaki jest jest zarys.
Inwestorem jest, jak wynika z pieczatki - Tarnowski Klaster Przemysłowy.
Załączniki
centrum2.jpg


tarnowiack
Archont
Posty: 849
Rejestracja: 27-01-2010, 17:33

Post autor: tarnowiack »

witek & associates ...? Oby, oby... ;)


Racjonalista
Prytan
Posty: 196
Rejestracja: 03-05-2010, 16:16

Post autor: Racjonalista »

Czyli CenterMed w komitywie z TKP i całą resztą, która podpisała parę miesięcy temu porozumienie o współpracy, czego efektem miało być m. in. urzeczywistnienie Tarnowskiego Parku Medyczno-technologicznego, czy jakoś tak?? z tego co pamiętam to pan Seremet jest członkiem władz tego stowarzyszenia, a tarnowski klaster Przemysłowy miał być koordynatorem tego przedsięwzięcia, czy jakoś tak. Oby do przodu.


Boruta
Archont
Posty: 585
Rejestracja: 29-08-2009, 15:16
Lokalizacja: Tarnów

Post autor: Boruta »

Mijają tygodnie a na kafelkach basenów rośnie szara kreska brudu :evil: Tak trudno raz na kilka tygodni pozbyć się tej "ozdoby"? Na naprawę pryszniców nie liczę, nie zrobili tego w trakcie remontu to tym bardziej nie zrobią teraz. Kolejna sprawa to brodzik przez który trzeba przejśc przed wejściem na pływalnię. Raz jest woda, raz nie ma. Innym razem jest i woda i "koty" z włosów.

Awatar użytkownika

Goscinny
Rhetor
Posty: 11275
Rejestracja: 03-03-2009, 12:21
Lokalizacja: Tarnów

Post autor: Goscinny »

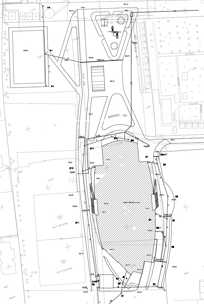
I znowu odkopuje temat, bo coś się rusza w sprawie Hali Widowiskowo-Sportowej przy basenie.
Projektanci zaczynają mnie nawiedzać i mam taki, na razie prosty, kawałek mapki, którym się podzielę.
Dla rozjaśnienia - ten szary kawałek na północny-wschód od hali to Camping 202.
Hala dosyć spora - w najszerszym miejscu 48 m, długość ok. 110m.
Tyle na dziś mam.
Załączniki
hala.jpg


Lvcas
Prytan
Posty: 140
Rejestracja: 01-05-2010, 21:54
Kontakt:

Post autor: Lvcas »

jakie są wasze odczucia i opinie o tym całym aquaparku?

warto się wybrać?
serwis firmowy falowniki forum branżowe falowniki

Awatar użytkownika

TomekMKM
Rhetor
Posty: 2387
Rejestracja: 18-11-2010, 00:24
Lokalizacja: Tarnów

Post autor: TomekMKM »

W sumie całkiem na plus jak na tarnowskie realia :):-)

Awatar użytkownika

ad2222
Rhetor
Posty: 7736
Rejestracja: 03-03-2009, 10:51
Lokalizacja: Tarnów, Zabłocie

Post autor: ad2222 »

Sauny super, w połowie kwietnia będę w N. Sączu i oglądnę tamtejszy miejski basen, tak dla porównania :)
"Wolę być głupim z nadzieją, niż bez nadziei - niemądrym" Edward 'Dudek' Dziewoński


Vipera
Metoikos
Posty: 3
Rejestracja: 07-04-2011, 18:01
Lokalizacja: Tarnów
Kontakt:

Post autor: Vipera »

A czy w ciągu weekendu jest tam sporo ludzi? Ponieważ zamierzam się właśnie wybrać po raz pierwszy i popodziwiać pierwszy miejski aqua park, tylko że ze względu na jego rozmiary zastanawiam się czy nie bywa tam zbyt ciasnawo?
http://www.kursant.net.pl - nauka jazdyĄ Tanio, super atmosfera, a do najważniejsze - wysoka zdawalnośćĄ

ODPOWIEDZ